Make your Property Dream an Island Reality
Sold
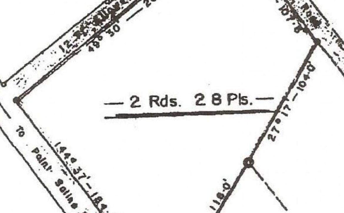
CL003: Flat land for investment at Calliste, St. George
Details
Property Locations
St. George, GrenadaProperty Price
USD $544 ,500Property Size
29403sqftProperty Status
SoldProperty Types
Commercial LandLocation
St. George, Grenada






















